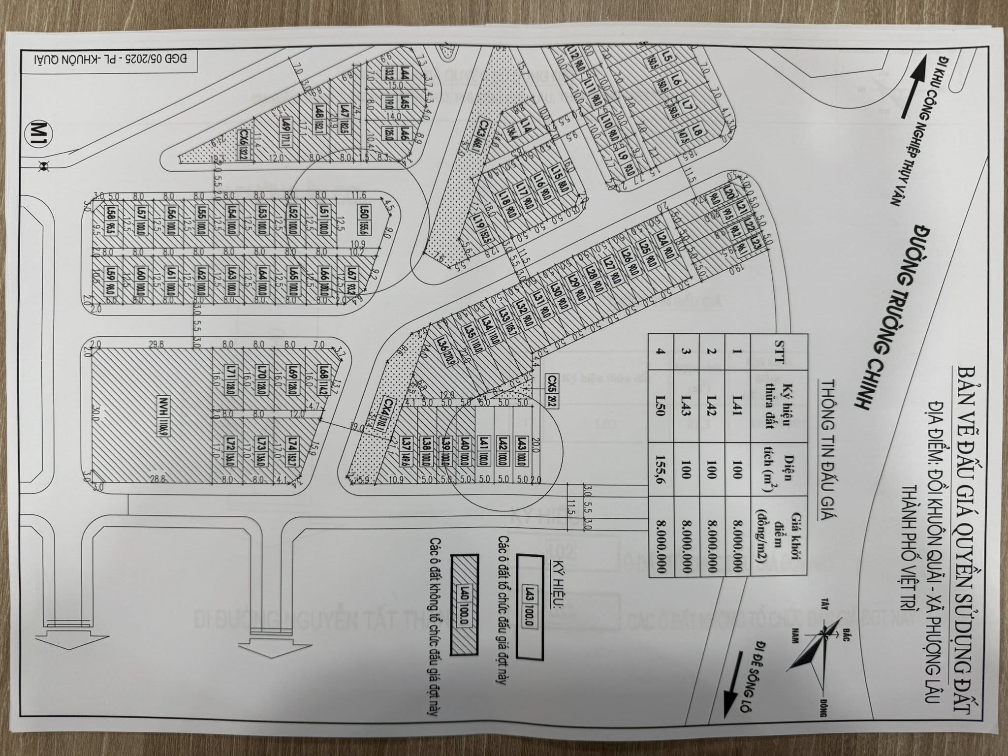
ĐẤU GIÁ QUYỀN SỬ DỤNG ĐẤT THÀNH PHỐ VIỆT TRÌ – ĐỢT 3 ngày 26/5/2025:
UBND thành phố Việt Trì phối hợp với Trung tâm dịch vụ đấu giá tài sản tỉnh Phú Thọ tổ chức đấu giá Quyền sử dụng tám mươi chín (89) ô đất ở thuộc địa bàn các phường, xã: Chu Hóa, Vân Phú, Thọ Sơn, Trưng Vương, Minh Phương, Sông Lô, Phượng Lâu, Dữu Lâu thành phố Việt Trì, tỉnh Phú Thọ.
– Diện tích từ 66,0m2/ô đất đến 224,2m2/ô đất;
– Giá khởi điểm từ 5.trđ/m2 đến 20.trđ/m2 ;
– Giá các ô đất từ 455 tr.đồng/ô đến 3,36 tỷ đồng/ô
(Chi tiết có trong hồ sơ mời tham gia đấu giá)
– Hình thức đấu giá: ĐẤU GIÁ BẰNG BỎ PHIẾU GIÁN TIẾP một vòng theo phương thức trả giá lên
– Bán và nhận hồ sơ đăng ký tham gia đấu giá Từ 07h00 phút ngày 09/5/2025 đến 17h00 phút ngày 21/5/2025 tại Trung tâm dịch vụ đấu giá tài sản tỉnh Phú Thọ. ; Nộp hồ sơ qua đường bưu chính bằng hình thức “Gửi bảo đảm” đến Trung tâm dịch vụ đấu giá tài sản.
– Thời gian nhận hồ sơ tham gia đấu giá và phiếu trả giá từ 07h00 phút ngày 09/5/2025 đến 17h00 phút ngày 21/5/2025 (Tính theo thời gian Trung tâm nhận được từ nhân viên bưu chính).
– Thời gian công bố kết quả trả giá: Bắt đầu từ 07h30 phút ngày 26/5/2025 tại Trung tâm hội nghị tỉnh Phú Thọ
Khách hàng có nhu cầu liên hệ: Trung tâm dịch vụ đấu giá tài sản tỉnh Phú Thọ (Điện thoại: 0210 3844 209; 0210 3555656); Hoặc Phòng Tài chính Kế hoạch – UBND thành phố Việt Trì (Điện thoại: 0210 3847 184).
=====
Lưu ý quan trọng: Thực hiện chủ trương sáp nhập, sắp xếp đơn vị hành chính theo chỉ đạo của Trung Ương, sau ngày 30/6/2025 việc cấp Giấy chứng nhận quyền sử dụng đất có độ trễ nhất định do sắp xếp đơn vị hành chính cơ quan nhà nước, do vậy khuyến khích người trúng đấu giá nộp tiền sớm đủ 1 lần trong 30 ngày đầu (hoặc sớm hơn càng tốt) để đủ điều kiện cấp Giấy chứng nhận quyền sử dụng đất ngay, thủ tục nhanh gọn, không phải chờ đợi lại có bìa đỏ sớm!
=============










Cập nhập từ website: https://rah.land/ – Website RaH Land cập nhập các thông tin về BĐS, nhà đất cần bán và cho thuê..
Liên hệ đăng tin miễn phí: 0942 858 866.





